Photo slider slide 1
of 8,
1 / 8
2961 Noyac Rd, Sag Harbor, NY 11963
$640,000
-
Beds
-
Baths
-
Acres
2.55
-
Sq. ft.
Listing by Simon Harrison Real Estate (6 Long Wharf Promenade, Sag Harbor NY 11963)
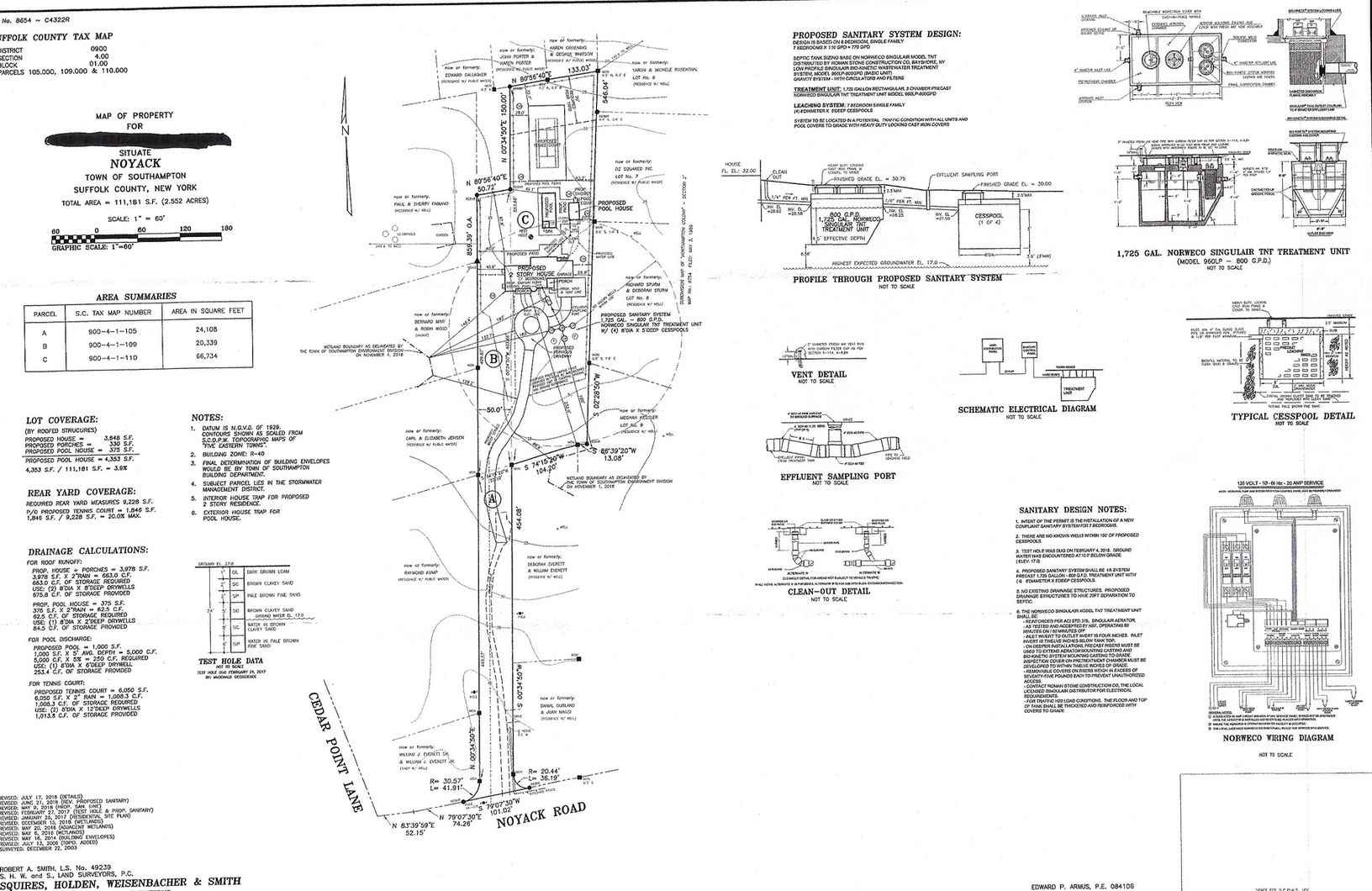
BIG LAND IN SAG HARBOR
This 2.55 acre property in Sag Harbor is ready for you to build the home of your dreams. A buildable 1.4 acres, 3 parcels to be merged upon sale, room for large house (4,000 sq. ft), 20 x 40 in ground pool, pool house, and tenns. Proposed plans available. Flag lot off Noyac Road, BOH permits pending. All permits in place for you to acquire building permits.
Home Details
Construction
Property type: Land
New construction: No
Interior Details
Sq. ft: -
Utilities
Central air conditioning: No
Financial Details
Price: $640,000
Taxes: -
Outdoor Details
Pool & Spa
Pool: No
Room for a pool: No
Parking
Garage: No
Outdoor Amenities
Tennis: No
Room for a tennis court: No
Water frontage/View: None / mainland
Outdoor Shower(s): No
Lot Details
Lot size: 2.55 Acres
Lot with trees: Yes
South of highway: No
Location
-
Nearby Beaches
-
2 milesFoster Memorial Town Beach
-
4 milesCedar Beach
-
4 milesShell Beach
-
-
Nearby Transportation
-
3 milesSag Harbor - Hampton Jitney
-
4 milesBridgehampton - LIRR
-
5 milesBridgehampton - Hamptons Luxury Liner
-







