Photo slider slide 1
of 2,
1 / 2
(Undisclosed Address),
INCOMPLETE ADDRESS
Contact the broker or agent for full listing details and address.
Southampton, NY 11968
INCOMPLETE ADDRESS
Contact the broker or agent for full listing details and address.
$615,000
-
Beds
-
Baths
-
Acres
1.09
-
Sq. ft.
Listing by William Raveis Real Estate (16 Hampton Road, Southampton NY 11968)
Highlights
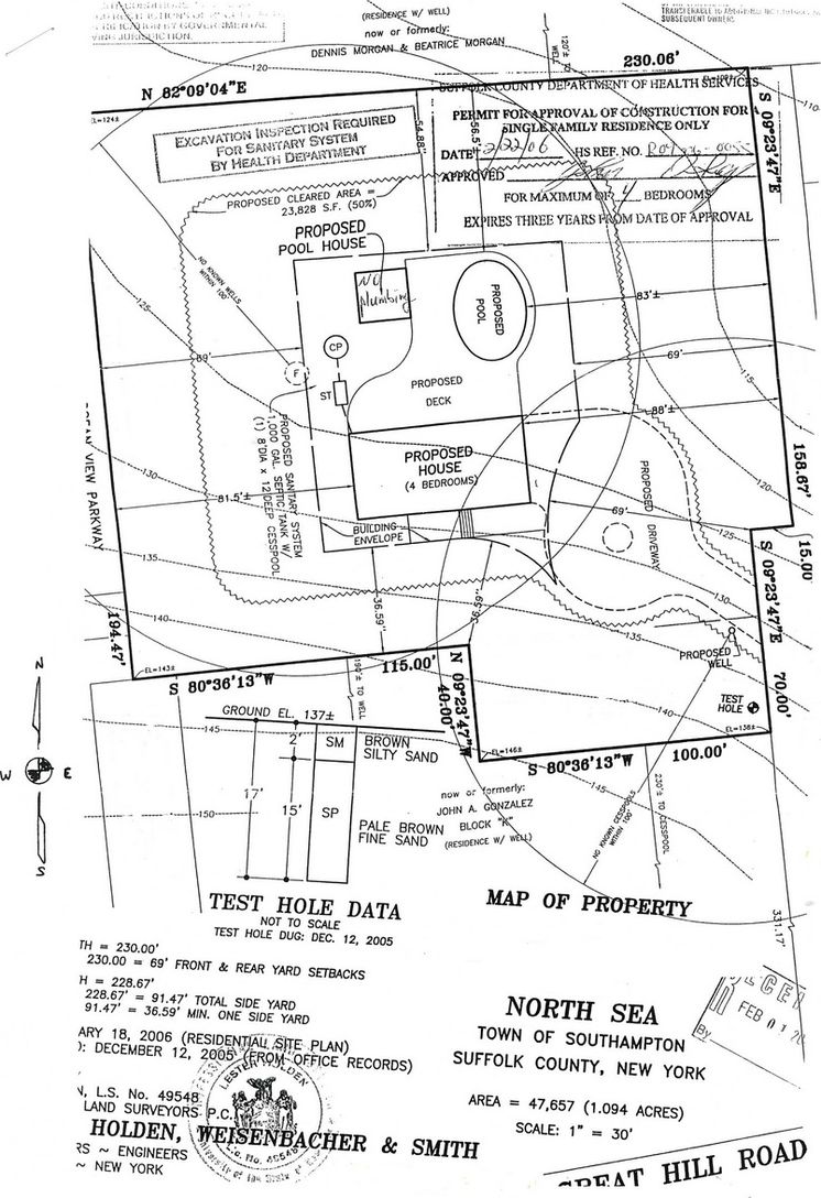
Southampton Land
Build your home on this private acre parcel with room for pool.
Home Details
Construction
Property type: Land
New construction: No
Interior Details
Sq. ft: -
Utilities
Central air conditioning: No
Financial Details
Price: $615,000
Taxes: -
Outdoor Details
Pool & Spa
Pool: No
Room for a pool: Yes
Parking
Garage: No
Outdoor Amenities
Tennis: No
Room for a tennis court: No
Water frontage/View: None / mainland
Outdoor Shower(s): No
Lot Details
Lot size: 1.09 Acres
South of highway: No
Zoning: CR 200
Location
-
Nearby Transportation
-
2 milesWater Mill - Hamptons Luxury Liner
-
2 milesWater Mill - Hampton Jitney
-
3 milesSouthampton - Hampton Jitney
-
-
Nearby Beaches
-
3 milesNorth Sea Beach
-
4 milesFlying Point Beach
-
4 milesW. Scott Cameron Beach
-
View this town on Google Maps
Undisclosed address, contact the listing agent for more details.

